金武町金武(全4棟)
ローソンまで徒歩6分と近場にコンビニがあるのもポイント。地盤が弱いと大惨事になりかねませんので地盤調査はとても大切です。多くの方からこだわり条件でいただく新築戸建ての物件です。ベタ基礎なので床下の湿気も気になりません。琉美不動産がご案内する、国頭郡金武町の情報が気になる方は098-943-3636、info@ryubi-estate.co.jpまでご連絡をお願いします。
物件情報
物件動画
周辺施設
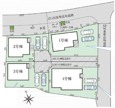
コメント【外観】※全棟並列駐車2台+お庭付き♪
金武町金武(全4棟) の物件概要
【新築一戸建】| 所在地 | 沖縄県国頭郡金武町字金武 | ||
|---|---|---|---|
| 交通 |
|
||
| 価格 | 2,888万円 | 築年月(築年数) | 2026年 2月 ( 新築 ) |
| 建物面積/坪数 | 97.29㎡/29.43坪 | 土地面積/坪数 | 208.75㎡/63.14坪 |
| 種別/構造 | 新築一戸建 / 木造 | 地目 | 宅地 |
| 備考 | 内外装共に綺麗な新築戸建ての物件はいかがでしょうか。地盤調査済みなので、防災面での安心感が増します。前面道路6m以上は確保しているので車の出し入れもラクラクです。ベタ基礎なので床下の湿気も気になりません。お客様のこだわり条件に合う一戸建て探しを琉美不動産がサポート致します。098-943-3636/info@ryubi-estate.co.jpまでご希望の条件をお申し付け下さい。 | ||
| 取扱会社 |
|
||
※地図上に表示される物件の位置は付近住所に所在することを表すものであり、実際の物件所在地とは異なる場合がございます。
金武町金武(全4棟)の販売物件情報















