金武町金武(全4棟)4号棟
近くにはローソン(徒歩6分)がありちょっとした買い物に便利です。初めてのマイホームに新築戸建てはいかがでしょうか。平屋建てですので、簡潔ながらも味わいのある外観が特徴です。ベタ基礎による建築の為、床下からの嫌な湿気も気になりません。琉美不動産では、国頭郡金武町にある豊富な不動産情報をご用意しておりますので、098-943-3636からご希望をお伝え下さい。
物件情報
物件動画
周辺施設
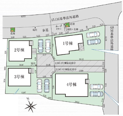
コメント【外観】4号棟新築平屋 並列駐車2台以上+お庭付き♪
金武町金武(全4棟)4号棟 の物件概要
【新築一戸建】| 所在地 | 沖縄県国頭郡金武町字金武 | ||
|---|---|---|---|
| 交通 |
|
||
| 価格 | 3,488万円 | 築年月(築年数) | 2026年 2月 ( 新築 ) |
| 建物面積/坪数 | 91.91㎡/27.8坪 | 土地面積/坪数 | 211.83㎡/64.07坪 |
| 種別/構造 | 新築一戸建 / 木造 | 地目 | 宅地 |
| 備考 | ぜひ一度見ていただきたい、「金武町金武(全4棟)4号棟」です。こちらの物件は平屋の設計です。地盤調査済みなので、防災面での安心感が増します。快適な室内と落ち着いた外観が魅力の令和8年2月築の物件。琉美不動産では、国頭郡金武町にある不動産情報を豊富に取り扱っております。気になる方は、098-943-3636からご連絡ください。 | ||
| 取扱会社 |
|
||
※地図上に表示される物件の位置は付近住所に所在することを表すものであり、実際の物件所在地とは異なる場合がございます。
金武町金武(全4棟)4号棟の販売物件情報















